Title of Property: Waterfront
Area: Tilloo Cay
Island: Abaco
Listed Price: $49,500
Sale or Rent: For Sale Only
Property Type: Lots/Acreage
Bedrooms: 0
Baths: 0
SqFt Total: 37897
Construction: None
Monthly Assessment: 0
Style: Single Family Lot
Exterior Finish: None
Bedrooms: 0
Baths: 0
SqFt Total: 37897
Construction: None
Monthly Assessment: 0
Style: Single Family Lot
Exterior Finish: None
Currency: BSD
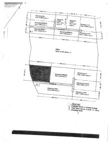
Lot: 2
Lot Depth: 220
Lot Width: 172
Lot Shape: Rectagular
Lot SqFt: 37897
Restrictions: None
Air Conditioning: None
Foundation: No
Roof: Other
Lot: 2
Lot Depth: 220
Lot Width: 172
Lot Shape: Rectagular
Lot SqFt: 37897
Restrictions: None
Air Conditioning: None
Foundation: No
Roof: Other
Total Finished Floor Area: 0
Description: This elevated waterfront Lot 2 Tilloo Bank Subdivision offers 172 linear feet of rocky shoreline on the Sea of Abaco with a lot size of 37,897 sq. ft. and is located approximately 3/4 way towards the southern end of Tilloo Cay. It's approximately 200 yards south of a favorite beach for locals and others to picnic and camp. Lot 2 is being offered at a very affordable price for 172 linear feet of Sea of Abaco waterfront.
MLS Number: 53466
Date Modified: 03/03/2026
Listed by: Hideaways Real Estate
